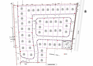
京田辺市田辺勇田~全47区画~第3期最終販売です!!
「花鳥風月やまとの家」
「花」「風」シリーズ 土地1,980万円+建物2,280万円=4,260万円(税込)
「京」シリーズ 土地1,980万円+建物2,080万円=4,060万円(税込)
やまと不動産専属の設計士と一緒に作る完全自由設計(標準103㎡)による建物です。
家族の理想をカタチに!!
- 価格
- 1,880万円
- 所在地/交通
-
京都府京田辺市田辺勇田51-2
近鉄京都線「新田辺」駅 徒歩6分
- 土地面積/坪数
- 110.00㎡
33.27坪
-

- 京田辺市立田辺幼稚園
約1143m/15分

- 草内保育園
約1968m/25分

- 京田辺市立田辺小学校
約1817m/23分

- 京田辺市立 田辺中学校
約1774m/23分
情報の見方
- スーパー山田屋 京田辺店
約700m/9分

- アルプラザ京田辺店
約617m/8分

- ドラッグユタカ京田辺店
約1030m/13分
物件概要 【売地】 物件番号:65744643 情報更新日:2025年12月05日 次回更新予定日:2025年12月19日
物件名 京田辺市田辺勇田~全47区画~第3期最終販売です!! 所在地 京都府京田辺市田辺勇田51-2 交通 - 近鉄京都線「新田辺」駅 徒歩6分
- 片町線「京田辺」駅 徒歩12分
接道状況 一方(南 公道 6.0m 間口 8.6m)(西 公道 6.5m 間口 8.6m)(東 公道 6.0m 間口 8.6m) 価格 1,880万円 私道面積 - 土地権利 所有権 土地面積 110.00㎡ 坪数 33.27坪 坪単価 56.51万円 地目 宅地 地勢 平坦 建築条件 有 セットバック - 都市計画 市街化区域 用途地域 第一種住居 建ぺい率 60% 容積率 200% 国土法届出要否 不要 その他の法令上の制限 - 取引態様 売主 現況 更地 引渡時期 相談 引渡条件 - 最適用途 住宅用地 設備条件 - 都市ガス
- 公営水道
- 公共下水
設備(その他) オール電化もしくはガス仕様 どちらも選択できます。 ※建築条件付き土地とは、その土地に建築する建物の建築請負契約が、 一定期間内に成立することを条件として売買される土地のことをいいます。 建築請負契約成立に向けて設計プランを協議するため、 土地購入者が自己の希望する建物の設計協議をするために必要な相当の期間の交渉期間が設定され、 その期間内で希望を満たすプランが現実できたかどうかにより結論を出します。 なお、この期間は概ね3ヶ月程度とされています。 納得のいくプランが出来ず、建築請負契約が成立しない場合、土地売買契約は白紙に戻り、 土地契約にかかった代金(土地代金、手付金など)は名目のいかんに関わらず、全て返却されます。
※地図上に表示される物件の位置は付近住所に所在することを表すものであり、実際の物件所在地とは異なる場合がございます。
物件お問い合わせ
















